اخبار السعودية
موقع كل يوم -صحيفة سبق الإلكترونية
نشر بتاريخ: ٢٥ تشرين الأول ٢٠٢٥
ال4 قتلى في هايتي والدومينيكان وتحذيرات من أمطار قد تصل إلى 89 سم خلال أيام
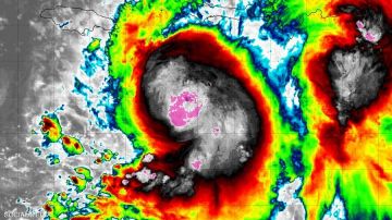
تواصل العاصفة المدارية 'ميليسا' زحفها نحو منطقة البحر الكاريبي، وسط تحذيرات متصاعدة من خبراء الأرصاد لاحتمالية تحوّلها إلى إعصار كبير خلال عطلة نهاية الأسبوع، ما يهدد بحدوث فيضانات وانهيارات أرضية كارثية في شمال المنطقة.
وبحسب المركز الوطني الأميركي للأعاصير، فإن العاصفة – التي تتسم بالحركة البطيئة وعدم الاستقرار – أسفرت حتى الآن عن وفاة ثلاثة أشخاص في هايتي وشخص رابع في جمهورية الدومينيكان، فيما لا يزال شخص آخر في عداد المفقودين.
وأشار المركز، في بيان نقلته سكاي نيوز عربية، إلى أن 'ميليسا' قد تتسبب في هطول أمطار غير مسبوقة تصل إلى 35 بوصة (89 سنتيمتراً) في جنوب غرب هايتي، مع تسجيل معدلات مرتفعة في جامايكا والمناطق الجنوبية من هايتي وجمهورية الدومينيكان، قد تبلغ 25 بوصة (64 سنتيمتراً) حتى يوم الإثنين.
وفي تصريحات رسمية، حذر جيمي روم، نائب مدير المركز، قائلًا: 'إذا هطلت تلك الكميات من الأمطار، فسنكون أمام احتمال حدوث فيضانات كارثية'.
وتتمركز العاصفة حاليًا على بعد 160 ميلاً (260 كيلومتراً) جنوب شرق كينغستون في جامايكا، وحوالي 235 ميلاً (375 كيلومتراً) جنوب غرب بور أو برنس في هايتي، وتبلغ سرعة رياحها القصوى 70 ميلاً في الساعة (110 كيلومترات في الساعة)، فيما تتحرك ببطء باتجاه الغرب الشمالي الغربي بسرعة ميل واحد في الساعة (3 كيلومترات في الساعة).
وأضاف المركز في بيانه أن عملية الاشتداد السريع للعاصفة متوقعة خلال الساعات المقبلة، وقد تتحول 'ميليسا' إلى إعصار خلال وقت قصير، بل من المرجح أن تصل إلى إعصار كبير بحلول يوم الأحد.










































